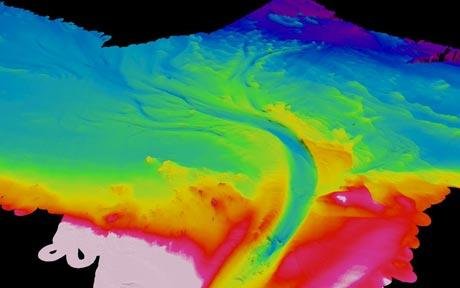
Έχει κοίτη, παραποτάμους, ρεύματα και καταρράκτες. Θα μπορούσε να είναι ένας συνηθισμένος ποταμός. Μόνο που κυλάει στο… βυθό της Μαύρης Θάλασσας.
Οι Βρετανοί ερευνητές χρησιμοποίησαν ένα ρομποτικό υποβρύχιο που μελέτησε το βυθό κοντά στην Τουρκία.
Ο ποταμός έχει βάθος μέχρι 35 μέτρα σε μερικά σημεία, μήκος περίπου 60 χιλιομέτρων, πλάτος γύρω στα 800 μέτρα, το νερό του κυλάει με ταχύτητα περίπου 6,5 χιλιομέτρων την ώρα, ενώ γύρω στα 22.000 κυβικά μέτρα νερού ρέουν μέσα από αυτόν κάθε δευτερόλεπτο (δέκα φορές περισσότερο σε σχέση με τον μεγαλύτερο ευρωπαϊκό ποταμό, τον Ρήνο).
Ο όγκος νερού που μεταφέρει είναι 350 φορές μεγαλύτερος από του Τάμεση στο Λονδίνο και, αν βρισκόταν στην επιφάνεια, θα ήταν ο έκτος μεγαλύτερος ποταμός του πλανήτη μας από άποψη όγκου νερού.
Ο ποταμός μεταφέρει πολύ αλμυρό νερό και ιζήματα και είναι ο μόνος ενεργός υποθαλάσσιος ποταμός που έχει βρεθεί μέχρι σήμερα. Έχει δημιουργηθεί καθώς αλμυρό νερό εισδύει από την Μεσόγειο στο Στενό του Βοσπόρου και από εκεί στην Μαύρη Θάλασσα, που έχει ύδατα με μικρότερη περιεκτικότητα σε αλάτι. Η διαφορά αυτή στην ποσότητα του αλατιού αναγκάζει το πιο πυκνό νερό της Μεσογείου να ρέει συνεχώς σαν ένα ποτάμι κατά μήκος του βυθού της Μαύρης Θάλασσας και, στην πορεία των αιώνων, να έχει σκάψει ένα κανάλι με όχθες. Το νερό του ποταμού είναι πιο αλμυρό και συνεπώς πιο πυκνό από το υπόλοιπο νερό γύρω του.
Το νερό του υποθαλάσσιου ποταμού διασχίζει τον καθοδικό βυθό που είναι κοντά στις ακτές και σιγά-σιγά χύνεται στην άβυσσο της Μαύρης Θάλασσας, όπως ένας επίγειος ποταμός που διασχίζει την ξηρά με καθοδική φορά και χύνεται τελικά στην θάλασσα.
Οι επιστήμονες εδώ και καιρό υποπτεύονταν ότι είναι δυνατό να σχηματιστούν ποτάμια στους βυθούς, καθώς οι έρευνες με σόναρ είχαν αποκαλύψει υποθαλάσσια κανάλια-μαιάνδρους σε πολλούς ωκεανούς. Τα μεγαλύτερα κανάλια έχουν βρεθεί στον Ατλαντικό, στα ανοικτά των ακτών της Βραζιλίας, όπου εκβάλλει ο Αμαζόνιος. Ποτέ όμως μέχρι σήμερα δεν είχε εντοπιστεί κάποιο ρεύμα νερού να διασχίζει ένα τέτοιο κανάλι.
